Εικόνες χάους και απόλυτης καταστροφής συνθέτουν το σκηνικό στις Φιλιππίνες μετά το φονικό πέρασμα του τυφώνα Χαϊγιάν.
Από σήμερα οι Αρχές ξεκινούν προσπάθεια καταγραφής των ζημιών και των θυμάτων, έργο το οποίο κρίνεται εξαιρετικά δύσκολο, καθώς σε πολλές περιπτώσεις η πρόσβαση σε πόλεις και χωριά είναι αδύνατη.
Τουλάχιστον 100 άνθρωποι έχασαν τη ζωή τους, άλλοι τόσοι τραυματίστηκαν και 800.000 εγκατέλειψαν τις εστίες τους, ενώ ανυπολόγιστες είναι οι ζημιές, τα κατεστραμμένα σπίτια και η έκταση των περιοχών που πλημμύρισαν εξαιτίας των ισχυρών καταιγίδων, δήλωσαν αξιωματούχοι.
Σε μια νεότερη εκτίμηση προχώρησε ο υπουργός Ενέργειας Τζέρικο Περίλα, ο οποίος ανέφερε ότι οι νεκροί ενδέχεται να είναι εκατοντάδες.
«Ίδια καταστροφή με το τσουνάμι του 2004»
Από την πλευρά του, αξιωματούχος του ΟΗΕ, αρμόδιος για τις φυσικές καταστροφές, παρομοίασε σήμερα την καταστροφή από τον τυφώνα Χαϊγάν στις Φιλιππίνες με το τσουνάμι που σάρωσε την Ασία το 2004, το οποίο στοίχισε τη ζωή σε 220.000 ανθρώπους.
Ο Σεμπάστιαν Ροντ Στάμπα, επικεφαλής της ομάδας συντονισμού για την αντιμετώπιση καταστροφών του ΟΗΕ που έφθασε στην πόλη Τακλομπάν της επαρχίας Λέιτε για να οργανώσει την ανθρωπιστική βοήθεια, δήλωσε ότι η τελευταία φορά που είδε καταστροφή αντίστοιχης κλίμακας «ήταν μετά το τσουνάμι στον Ινδικό Ωκεανό. Αυτή είναι μαζική καταστροφή. Υπάρχουν αυτοκίνητα πεταμένα παντού και οι δρόμοι είναι γεμάτοι ερείπια».
Δύσκολη η ανάκαμψη
Η επαρχία Λέιτε, η πλέον πληγείσα, με πληθυσμό τουλάχιστον 1,7 εκατομμύρια κατοίκους, είναι από τις φτωχότερες της χώρας και πολύ δύσκολα θα ανακάμψει. Το ποσοστό της φτώχειας ανερχόταν σε 31,9% το πρώτο εξάμηνο του 2012, αρκετά υψηλότερο από τον μέσο όρο του 27,9%, σύμφωνα με επίσημα στοιχεία. Η επαρχία είναι γνωστή επειδή στις ακτές της τον Οκτώβριο του 1944 αποβιβάστηκαν μονάδες των αμερικανικών δυνάμεων κατά τον Β΄ Παγκόσμιο Πόλεμο, πριν από την ήττα της Ιαπωνίας.
Σύμφωνα με το Παρατηρητήριο της Μανίλας, «οι ζημιές και οι απώλειες μπορεί να είναι πολύ μεγαλύτερες από τις αναμενόμενες στις πληγείσες επαρχίες Λέιτε, ανατολική Σαμάρ Ρομπλόν, Μαριντούκε και Ακλάν».
Η Λέιτε είναι από τις μεγαλύτερες επαρχίες της περιφέρειας Βιζάγιας, με έκταση 5.713 τετραγωνικών χλμ. Συνδέεται με το νησί Σαμάρ μέσω της γέφυρας Σαν Χουανίκο, της μεγαλύτερης στις Φιλιππίνες.
Τοπικός αξιωματούχος της πολιτικής αεροπορίας δήλωσε σε ραδιοφωνικό σταθμό ότι 100 νεκροί κείτονται σε δρόμους της πρωτεύουσας Τακλομπάν και άλλοι τόσοι είναι οι τραυματίες. Ο κόσμος έτρεξε σε καταφύγια, ορισμένα από τα οποία επίσης καταστράφηκαν από τον τυφώνα, ενώ «πολλοί άνθρωποι είναι στον δρόμο γιατί δεν έχουν πού να πάνε».
Οι Αρχές τονίζουν ότι οι περιορισμένες υπηρεσίες τηλεπικοινωνιών δυσχεραίνουν τον προσδιορισμό του μεγέθους των ζημιών στην εν λόγω επαρχία. «Ανησυχούμε πολύ για την κατάσταση εδώ. Προτεραιότητά μας είναι να αποκτήσουμε πρόσβαση το νωρίτερο δυνατόν στους ανθρώπους που χρειάζονται βοήθεια, με τη χρήση ελικοπτέρων και μονάδων του στρατού. Επικεντρωνόμαστε στις επιχειρήσεις διάσωσης και παροχής ειδών πρώτης ανάγκης».
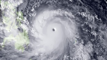
Σύμφωνα με την εθνική μετεωρολογική υπηρεσία, ο Χαϊγιάν σάρωσε τις κεντρικές Φιλιππίνες με ανέμους μέγιστης ταχύτητας 235 χλμ. την ώρα και ριπές ανέμων έως 275 χλμ. την ώρα. Άλλες μετεωρολογικές υπηρεσίες τοποθετούν τη μέγιστη ταχύτητα των ανέμων στα 315 χλμ. την ώρα και τις ριπές στα 380 χλμ.
Ο Χαϊγιάν είναι ο μεγαλύτερος τυφώνας που πλήττει τον πλανήτη μετά τον τυφώνα Τιπ τον Οκτώβριο του 1979, ο οποίος στοίχισε τη ζωή σε 100 ανθρώπους στην Ιαπωνία και στο νησί Γκουάμ. Είναι ο ισχυρότερος τυφώνας που σαρώνει τις Φιλιππίνες, οι οποίες πλήττονται από τουλάχιστον 20 τυφώνες κάθε χρόνο. Είναι ισχυρότερος από τον τυφώνα Μπόφα, που άφησε πίσω του 1.800 νεκρούς και αγνοουμένους στη νότια επαρχία Μιντανάο το 2012.
Εκκενώνουν περιοχές στο Βιετνάμ
Την ίδια ώρα στο Βιετνάμ άρχισε η εκκένωση περιοχών όπου ζουν 100.000 άνθρωποι, οι οποίες βρίσκονται στην πορεία που ακολουθεί ο γιγάντιος τυφώνας Χαϊγάν. Αυτός αναμένεται να πλήξει τη χώρα την Κυριακή, δύο ημέρες μετά το καταστροφικό πέρασμά του από τις κεντρικές Φιλιππίνες, μετέδωσαν σήμερα τα επίσημα μέσα ενημέρωσης.
Περιοχές εκκενώνονται στις κεντρικές επαρχίες Ντανάνγκ και Κουάνγκ Νγκάι, γράφει η εφημερίδα «Tuoi Tre», ενώ η χώρα έχει τεθεί σε κατάσταση συναγερμού.
Σχολεία έκλεισαν και οι κάτοικοι των παραθαλάσσιων χωριών, που εκτίθενται περισσότερο στη σφοδρή καταιγίδα, εγκατέλειψαν τις εστίες τους αναζητώντας ασφαλές καταφύγιο σε δημόσια κτίρια χτισμένα σε υψώματα, σύμφωνα με τις επίσημες εφημερίδες.
Ο τυφώνας Χαϊγιάν, που θεωρείται ο βιαιότερος του 2013 και ένας από τους σφοδρότερους που έχουν πλήξει ηπειρωτικό έδαφος εδώ και δεκαετίες, αναμένεται να χάσει λίγη από την έντασή του όταν θα φθάσει στο Βιετνάμ. Ωστόσο παραμένει στην κατηγορία των γιγάντιων τυφώνων, δήλωσε ο πρωθυπουργός Νγκίγεν Ταν Ντουνγκ σε έκτακτη συνεδρίαση.
zougla.gr






Na erthoun stin Ellada!!!
Enas Grafikos.
Αν μου πεις πως στοχεύσαμε στο νερό για να γίνει αυτή η καταστροφή, θα πρέπει να αρχίσουμε να ανησυχούμε…